2012 Residential Drafting Portfolio – Portland, Oregon
This portfolio features permit-approved residential drafting projects completed in 2012 in Oregon,
including single-story additions, two-story expansions, and full residential renovations.
All construction documents were prepared by Luis F. Miramontes and approved through the
City of Portland – Bureau of Development Services (BDS)
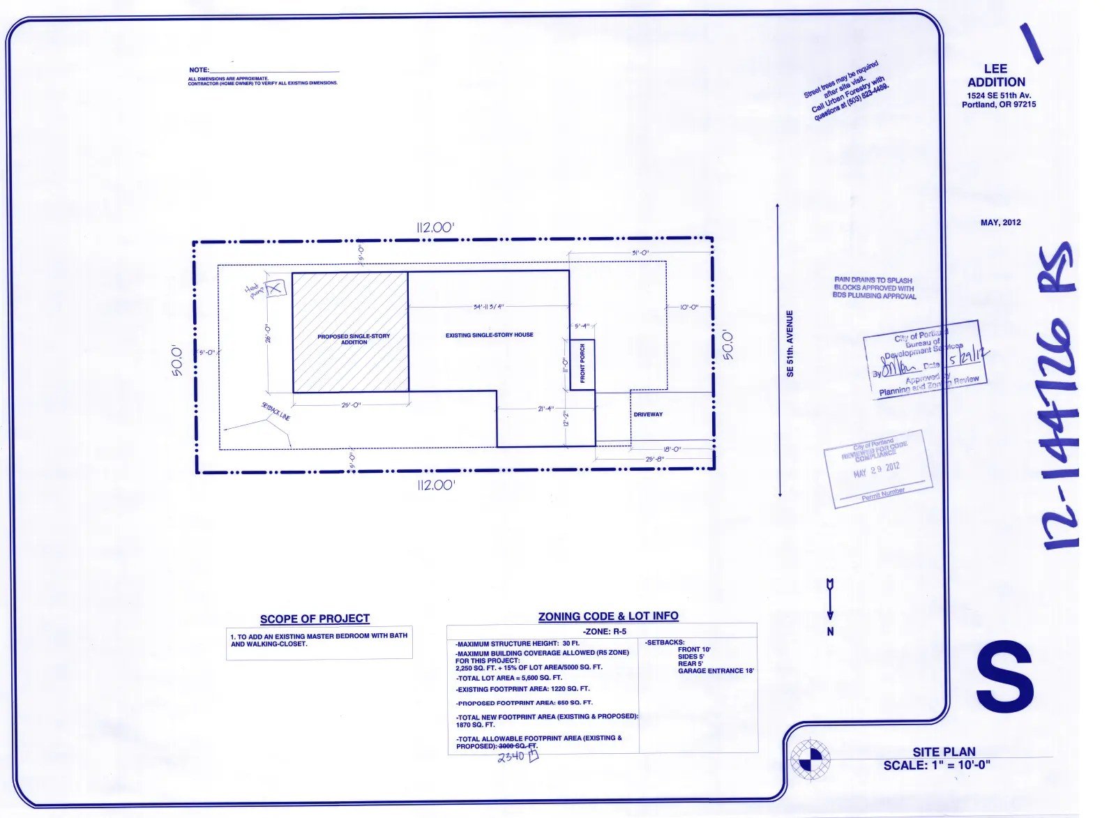
Lee Home Addition
Project Overview:
A 25 × 26 single-story residential addition designed to expand the existing home
with a new primary bedroom suite, walk-in closet, and master bathroom.
The project emphasized structural integration, zoning compliance,
and efficient interior circulation.
Scope of Work:
Complete permit-ready construction drawings including site plan,
fully dimensioned floor plans, foundation layout,
framing plan, building sections, and exterior elevations.
The drawing set was prepared for contractor bidding and formal city review.
Jurisdiction:
City of Portland – Bureau of Development Services (BDS)
Prado Two-Story Home Addition
Project Overview:
A two-story residential expansion designed to increase living area vertically
while maintaining compatibility with the existing structure.
The project required zoning review, height compliance verification,
and structural detailing for second-floor integration.
Scope of Work:
Permit-ready drafting included site plan documentation,
first and second floor plans,
foundation and framing layouts,
structural sections, and exterior elevations.
Drawings ensured compliance with Portland residential building standards.
Jurisdiction:
City of Portland – Bureau of Development Services (BDS)
Zemp Residential Addition
Project Overview:
Residential home addition designed to expand interior living space
while aligning with zoning regulations and structural requirements.
The project balanced client goals with constructability and cost efficiency.
Scope of Work:
Complete construction document set including site plan,
dimensioned floor plans,
foundation layout,
framing plan,
building sections, and exterior elevations.
Plans were prepared for formal city submission and contractor execution.
Jurisdiction:
City of Portland – Bureau of Development Services (BDS)



